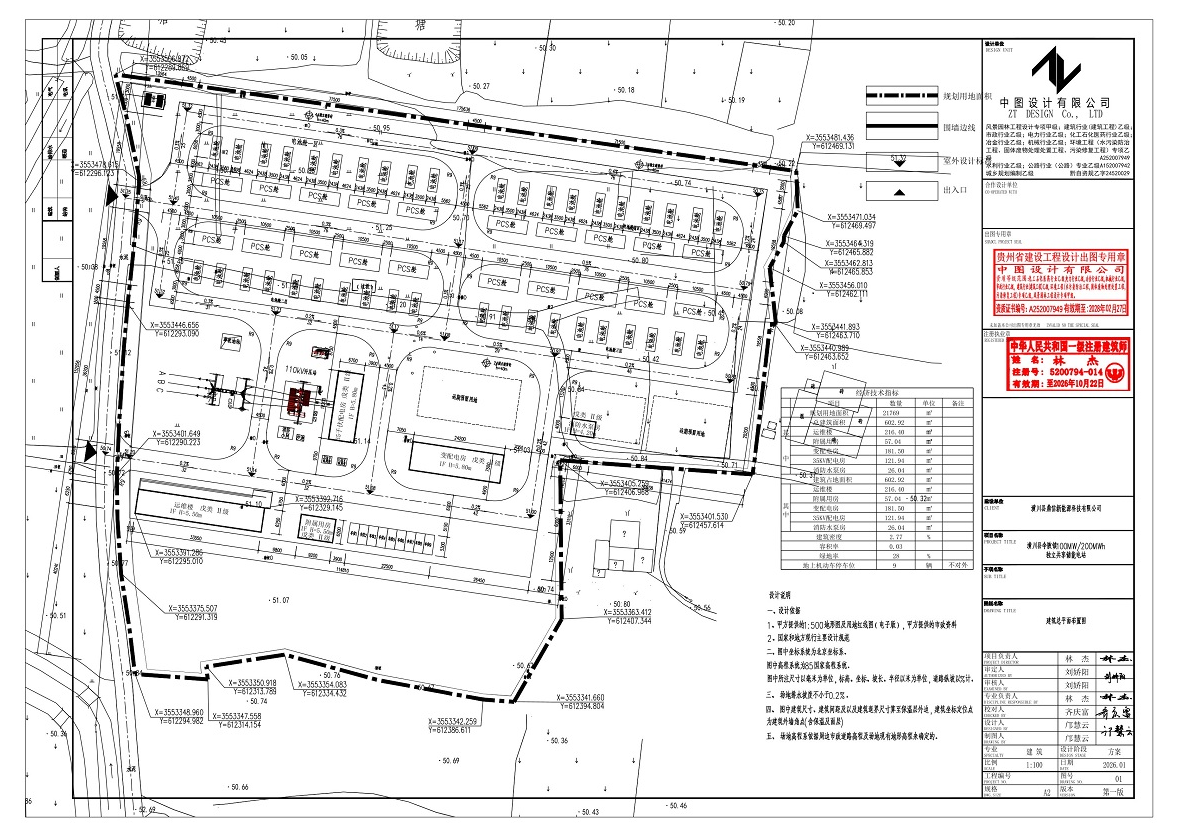
潢川县伞陂镇100MW/200MWH独立共享储能电站建设项目建设地点位于潢川县伞陂镇林寨村,该储能电站使用土地总面积为21769平方米,拟新建储能设施、运维楼及附属用房等设施,现将相关建设内容向社会进行公示,广泛征求意见(详见附图)。
公示期限:2026年1月19日-2026年1月27日(公示期7个工作日,节假日向后顺延)
如在公示期内没有异议,潢川县自然资源局将依据上述指标,按法定程序进行审批;若有异议请以书面材料的形式反映至潢川县自然资源局。
联系电话:0376-3931890(办公室) 0376-3901941(信访室)


